当前位置:首页 > 行政执法公示 > 高阳县自然资源和规划局
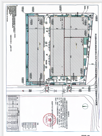
河北曼哈特机械制造有限公司年产300万支高端花键轴生产项目建设工程规划许可证
发布时间:2025/7/18 15:36:11
/gyzf/Upload/file/20250718/20250718160023552355.xlsx
[打印本页] [关闭窗口]
 

Copyright © 2007-2018 www.gaoyang.gov.cn All Rights Reserved 版权所有:河北省高阳县人民政府
主办:高阳县人民政府办公室 联系方式 0312-6699502
ICP备案号: 冀ICP备05019657号-1   网站标识码:1306280002  公安机关备案号:13062802000047